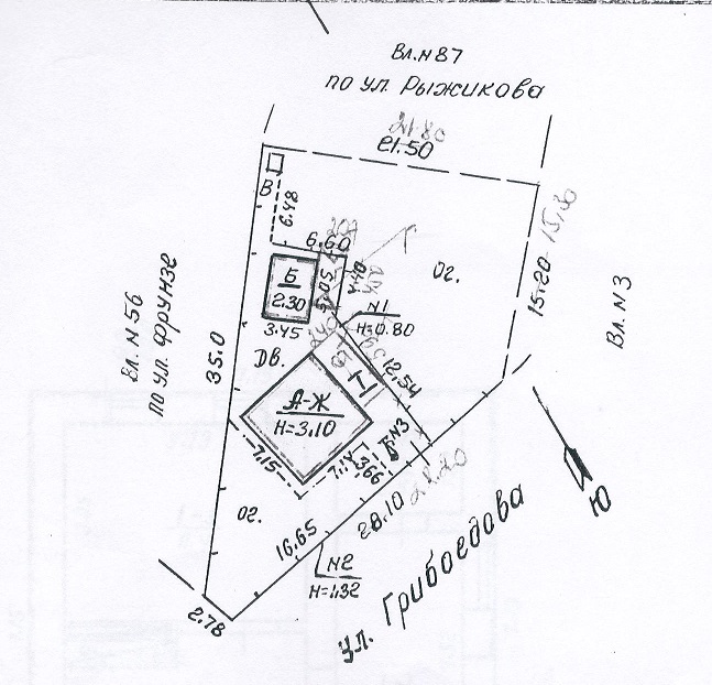
1/2 частина житлового будинку загальною площею 33,8 кв.м. за адресою: Дніпропетровська обл., м.Нікополь, вул. Грибоєдова, буд. 1
Кількість кімнат
2
Площа кожної кімнати, м.кв.
11,4 кв.м.; 11,1 кв.м
Поверх, на якому знаходиться квартира, кімната
1
Кількість поверхів будинку
1
Iнформація про допоміжні, підсобні приміщення та споруди
приміщення - 2,5 кв.м.; приміщення - 8,8 кв.м.
прибудова, сарай, вбиральня, навіс, водопровід, огорожа, замощення
Розмір житлової площі будинку, квартири, м.кв.
22.5
Pозмір нежитлової площі будинку, квартири, м.кв.
11.3
Додатково:
Матеріал фундаменту бутовий, матеріал стін - глинобитний, обкладений цеглою, дах - шифер, вікна дерев'яні. Будинок підключено до електопостачання та газу, каналізація автономна, опалення автономне. Стан задовільний, тип обробки - простий ремонт. Зареєстрована одна особа.
Реєстраційний номер лота
302205
Категорія
Житлова нерухомість
Відомості про обтяження майна:
Арешт нерухомого майна. постанова про відкриття виконавчого провадження, 14940988, 04.11.2005, ВДВС Нікопольського МРУЮ
Порядок ознайомлення з майном:
Порядок сплати внеску:
Сплата гарантійного внеску для участі в електронних торгах здійснюється на рахунок Організатора за реквізитами, які, зокрема, вказані в квитанції, що автоматично формуються Системою в особистому кабінеті учасника, при подачі заявки на участь у торгах по певному лоту. Підтвердження щодо надходження суми гарантійного внеску на рахунок Організатора від обслуговуючого банку повинно надійти Організатору не пізніше ніж за одну годину до початку торгів.
Порядок сплати за майно:
Розрахунок за придбане на електронних торгах майно здійснюється переможцем електронних торгів за реквізитами, які вказані в Протоколі електронних торгів, що автоматично формується системою після закінчення електронних торгів.
Порядок оформлення участі у торгах:
Для участі в електронних торгах, необхідно:
1.Зареєструватися в системі «СЕТАМ»
2. Подати заявку на участь в електронних торгах з особистого кабінету учасника торгів
3. Сплатити гарантійний внесок у розмірі 5% від стартової ціни лота на рахунок Організатора торгів.
Повний текст правил проведення торгів доступний за посиланням
Організатор торгів:
Державне підприємство «СЕТАМ», контактний телефон «0-800-335-754», електронна адреса «service@setam.net.ua»
Відділення продавця:
Нікопольський відділ державної виконавчої служби у Нікопольському районі Дніпропетровської області Південного міжрегіонального управління Міністерства юстиції (м. Одеса)
ознайомлення у зберігача
Ткаченко Катерина Іванівна, м.Нікополь, вул. Лошкаревський, 5, тел. 096-643-61-84
Порядок сплати внеску:
Сплата гарантійного внеску для участі в електронних торгах здійснюється на рахунок Організатора за реквізитами, які, зокрема, вказані в квитанції, що автоматично формуються Системою в особистому кабінеті учасника, при подачі заявки на участь у торгах по певному лоту. Підтвердження щодо надходження суми гарантійного внеску на рахунок Організатора від обслуговуючого банку повинно надійти Організатору не пізніше ніж за одну годину до початку торгів.
Порядок сплати за майно:
Розрахунок за придбане на електронних торгах майно здійснюється переможцем електронних торгів за реквізитами, які вказані в Протоколі електронних торгів, що автоматично формується системою після закінчення електронних торгів.
Порядок оформлення участі у торгах:
Для участі в електронних торгах, необхідно:
1.Зареєструватися в системі «СЕТАМ»
2. Подати заявку на участь в електронних торгах з особистого кабінету учасника торгів
3. Сплатити гарантійний внесок у розмірі 5% від стартової ціни лота на рахунок Організатора торгів.
Повний текст правил проведення торгів доступний за посиланням
Організатор торгів:
Державне підприємство «СЕТАМ», контактний телефон «0-800-335-754», електронна адреса «service@setam.net.ua»
Відділення продавця:
Нікопольський відділ державної виконавчої служби у Нікопольському районі Дніпропетровської області Південного міжрегіонального управління Міністерства юстиції (м. Одеса)