КТЗ марки ВАЗ 2114, 2004 р.в., ДНЗ: АТ0828АВ (номер кузову: ХТА21140043642768)

Стан аукціона:
торги припинено
Номер лоту:
269322
Дата проведення аукціону:
02-04-2018 09:00
Дата закінчення торгів:
02-04-2018 18:00
Дата закінчення подання заявок:
02-04-2018 08:00
Стартова ціна:
33 612.48 грн.
Гарантійний внесок:
1 680.62 грн.
Крок аукціону:
1 008.37 грн.
Область:
Івано-Франківська обл.
Місцезнаходження майна:
вулиця Грушевського, 11, офіс 202, місто Івано-Франківськ, Івано-Франківська область
Дата публікації:
12-03-2018 15:53
Колір
чорний
Додаткові відомості
У салоні відсутні на задніх дверях руків'я склопідіймача, потертості на сидіннях, оббивка крісла водія розірване. Передня ліва фара тріснута, на колесах відсутні 2 ковпаки, потертості, корозія та відколи фарби на крилах, незначні подряпини на корпусі, две
Комплектація
базова
Номер кузову
ХТА21140043642768
Марка легкового авто
ВАЗ
Модель
2114
Oб'єм двигуна, см. куб.
1499
Вид пального
Бензин
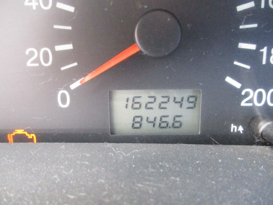
Пробіг
162249
Pік випуску
2004

Додатково:

КТЗ марки ВАЗ 2114,  чорного кольору, 2004 р.в., ДНЗ: АТ0828АВ (номер кузову: ХТА21140043642768), пробіг 162249.

КТЗ на ходу. Технічний стан авто відповідає терміну експлуатації.

Ключі та свідоцтво про реєстрацію ТЗ у наявності.

У салоні відсутні на задніх дверях руків'я склопідіймача; є потертості на сидіннях; розірвана оббивка крісла водія.

Передня ліва фара тріснута, на колесах відсутні 2 ковпаки, є потертості, корозія та відколи фарби на крилах, незначні подряпини на корпусі, дверях, капоті та бамперах, відламано частину заднього бампера, корозія заднього лівого крила та дверей багажника.

Реєстраційний номер лота
269322
Категорія
Легкові автомобілі
Відомості про обтяження майна:

Постанова про відкриття виконавчого провадження від 26.09.2016 року, ВП № 52345216, ВПВР УДВС ГТУЮ в Івано-Франківській області, Гундяк Т.Д.

Арешт рухомого майна № 16518665, Постанова про опис та арешт майна боржника від 27.09.2017, ВП № 52345216, ВПВР УДВС ГТУЮ в Івано-Франківській області, Гундяк Т.Д.

Арешт рухомого майна № 14492455, Постанова про арешт майна боржника та оголошення заборони на його відчуження, ВП № 42262708, 14.08.2014, ВДВС Івано-Франківського МУЮ, Гнатюк В.Я., все рухоме майно.

Арешт рухомого майна № 14493019, Постанова про арешт майна боржника та оголошення заборони на його відчуження, ВП № 42509505, 14.08.2014, ВДВС Івано-Франківського МУЮ, Гнатюк В.Я., все рухоме майно.

Арешт рухомого майна № 15506473, Постанова про арешт майна боржника та оголошення заборони на його відчуження, ВП № 48701872, 18.09.2015, ВДВС Івано-Франківського МУЮ, Гнатюк В.Я., все рухоме майно.

Арешт рухомого майна № 15854026, Постанова про арешт майна боржника та оголошення заборони на його відчуження, ВП № 50989054, 08.06.2016, ВДВС Івано-Франківського МУЮ, Гнатюк В.Я., все рухоме майно.

Арешт рухомого майна № 15985959, Постанова про арешт майна боржника та оголошення заборони на його відчуження, ВП № 52345216, 26.09.2016, ВПВР УДВС ГТУЮ в Івано-Франківській області, Гундяк Т.Д., все рухоме майно.

  • Учасник 1 - 12-03-2018 16:22 (відхилено)
  • Учасник 2 - 12-03-2018 17:00 (відхилено)
  • Учасник 3 - 12-03-2018 17:41 (відхилено)
  • Учасник 4 - 12-03-2018 18:01 (відхилено)
  • Учасник 5 - 12-03-2018 18:02 (відхилено)
  • Учасник 6 - 12-03-2018 18:57 (відхилено)
  • Учасник 7 - 12-03-2018 19:50 (відхилено)
  • Учасник 8 - 12-03-2018 20:02 (відхилено)
  • Учасник 9 - 12-03-2018 20:49 (відхилено)
  • Учасник 10 - 12-03-2018 21:31 (відхилено)
  • Учасник 11 - 13-03-2018 10:21 (відхилено)
  • Учасник 12 - 13-03-2018 13:39 (відхилено)
  • Учасник 13 - 13-03-2018 14:16 (відхилено)
  • Учасник 14 - 13-03-2018 17:50 (відхилено)
  • Учасник 15 - 13-03-2018 20:22 (відхилено)
  • Учасник 16 - 13-03-2018 20:49 (відхилено)
  • Учасник 17 - 14-03-2018 09:40 (відхилено)
  • Учасник 18 - 14-03-2018 12:32 (відхилено)
  • Учасник 19 - 14-03-2018 14:30 (відхилено)
  • Учасник 20 - 14-03-2018 21:11 (відхилено)
  • Учасник 21 - 14-03-2018 22:15 (відхилено)
  • Учасник 22 - 15-03-2018 10:22 (відхилено)
  • Учасник 23 - 15-03-2018 22:04 (відхилено)
  • Учасник 24 - 15-03-2018 23:06 (відхилено)
  • Учасник 25 - 17-03-2018 00:26 (відхилено)
  • Учасник 26 - 18-03-2018 13:12 (відхилено)
  • Учасник 27 - 20-03-2018 15:51 (відхилено)
  • Учасник 28 - 20-03-2018 23:02 (відхилено)
  • Учасник 29 - 21-03-2018 11:18 (повернено)
  • Учасник 30 - 21-03-2018 12:33 (повернено)
  • Учасник 31 - 21-03-2018 21:43 (відхилено)
  • Учасник 32 - 22-03-2018 09:13 (відхилено)
  • Учасник 33 - 22-03-2018 10:51 (повернено)
  • Учасник 34 - 22-03-2018 13:02 (повернено)
  • Учасник 35 - 24-03-2018 14:51 (відхилено)
  • Учасник 36 - 24-03-2018 21:39 (відхилено)
  • Учасник 37 - 25-03-2018 20:32 (повернено)
  • Учасник 38 - 26-03-2018 09:07 (відхилено)
  • Учасник 39 - 26-03-2018 20:56 (відхилено)
  • Учасник 40 - 26-03-2018 22:51 (відхилено)
  • Учасник 41 - 27-03-2018 12:22 (повернено)
  • Учасник 42 - 27-03-2018 12:43 (повернено)
  • Учасник 43 - 28-03-2018 12:03 (повернено)
  • Учасник 44 - 28-03-2018 15:07 (відхилено)
  • Учасник 45 - 29-03-2018 14:03 (повернено)
  • Учасник 46 - 02-04-2018 00:06 (відхилено)
Порядок ознайомлення з майном:

ознайомлення у організатора

Філія ДП СЕТАМ в Івано-Франківській області, тел. /0342/ 54-02-59 (електронна адреса: if.torgi@setam.net.ua). Оглянути описане й арештоване майно, що пропонується до продажу на аукціоні, можна щодня, крім вихідних та святкових днів, з 09.00 до 17.00, попередньо зателефонувавши до організатора.


Порядок сплати внеску:
Сплата гарантійного внеску для участі в електронних торгах здійснюється на рахунок Організатора за реквізитами, які, зокрема, вказані в квитанції, що автоматично формуються Системою в особистому кабінеті учасника, при подачі заявки на участь у торгах по певному лоту. Підтвердження щодо надходження суми гарантійного внеску на рахунок Організатора від обслуговуючого банку повинно надійти Організатору не пізніше ніж за одну годину до початку торгів.
Порядок сплати за майно:
Розрахунок за придбане на електронних торгах майно здійснюється переможцем електронних торгів за реквізитами, які вказані в Протоколі електронних торгів, що автоматично формується системою після закінчення електронних торгів.
Порядок оформлення участі у торгах:
Для участі в електронних торгах, необхідно:
1.Зареєструватися в системі «СЕТАМ»
2. Подати заявку на участь в електронних торгах з особистого кабінету учасника торгів
3. Сплатити гарантійний внесок у розмірі 5% від стартової ціни лота на рахунок Організатора торгів.
Повний текст правил проведення торгів доступний за посиланням
Організатор торгів:
Державне підприємство «СЕТАМ», контактний телефон «0-800-335-754», електронна адреса «service@setam.net.ua»
Відділення продавця:
Відділ примусового виконання рішень управління державної виконавчої служби Головного управління юстиції в Івано-Франківській області